ซื้อสินค้า OSDCO
เข้าสู่ระบบ
|
ลงทะเบียน
แบรนด์
รีวิว
ปรึกษาหมอ
สาระสัตว์เลี้ยง
Pet Channel
ปฏิทินกิจกรรม
เข้าสู่ระบบ
ลงทะเบียน
×
หน้าแรก
แบรนด์
รีวิว
ปรึกษาหมอ
สาระสัตว์เลี้ยง
Pet Channel
ปฏิทินกิจกรรม
ซื้อสินค้า OSDCO
ประเภทสัตว์เลี้ยง
สุนัข
แมว
ปลา
นก
กระต่าย
อื่นๆ
ค้นหา
คำถามล่าสุด
จีระศักดิ์
อ่านต่อ
น้องหมาเพิ่งผสมพันธุ์ไปเมื่อวันที่28มีนาคม พอดีจะต้องเดินทางไปเพชรบูรณ์วันที่12เมษา จะมีผลกระทบต่อการตั้งครรภ์ไหมครับ
1
587
สุนัข
Jane
อ่านต่อ
สุนัขเป็นตุ่มตามตัวค่ะ
4
1120
สุนัข
ธนภณ
อ่านต่อ
ลูกนกมันโดนลูกนกตัวอื่นๆแย่งอาหารแล้วตอนนี้มันอ่อนแอ่มากควรทำยังไงดีคับ
1
1225
นก
แอ้มแอ้ม
อ่านต่อ
น้องหมาเป็นอะไร และวิธีรักษาเบื้องต้นคืออะไรคะ? ใช้ยาหยอดตาจะหายไหม?
0
661
สุนัข
NineNeuf
อ่านต่อ
เมื่อวานหมาโดนรถชนที่หัวค่ะเดินได้โซเซมาเช้านี้นอนกระพริบตานิ่ง เบื้องต้นก่อนพาหาหมอ ควรทำอย่างไรค่ะ
0
673
สุนัข
kanyarat
อ่านต่อ
สุนัขไอแห้ง
0
709
สุนัข
นลินนาถ
อ่านต่อ
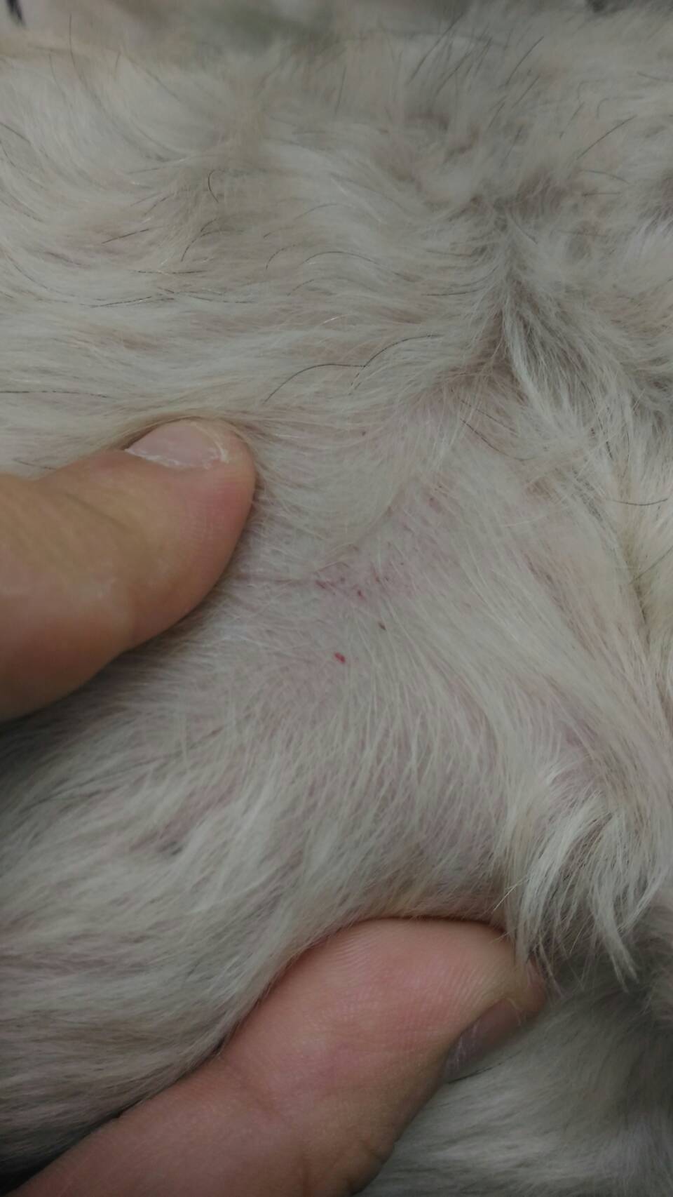
น้องมีจุดแดงๆแบบนี้ค่ะ อยากทราบว่ามันคืออะไรคะ?
1
817
สุนัข
Thinnawat
อ่านต่อ
แมวอายุ 6 เดือน 2 วันที่ผ่านมา ปากน้องเหม็นมากครับโดยไม่ทราบสาเหตุ และวันนี้มีฟันน้องหลุดมา 1 ซี่ พยายามเป็นปากน้องดูพบว่ามีรอยแดงบริเวณเคี้ยวน้องด้วยครับ พอจะทราบสาเหตุไหมครับ
0
653
แมว
Jusmin
อ่านต่อ
ทำยังไงดีคะ พึ่งพาน้องไปอาบน้ำตัดขนมาพออุ้มแล้วมันมีตัวสีเหลืองๆติดที่เสื้อเต็มเลยค่ะ
0
749
แมว
Chananchida
อ่านต่อ
น้องกระต่ายจะมีโอกาสรอดไหมคะ?
0
1249
กระต่าย
ปกรณ์
อ่านต่อ
น้องแมวไม่ใช้2ขาคู่หน้าครับ
1
639
แมว
Thappituck
อ่านต่อ
คือหมาผมมันวิ่งตามผมอะครับแล้วพอผมกลับบ้านเหมือนขาหลังมันปวดครับ
1
633
สุนัข
Matthana
อ่านต่อ
กระรอกมีพฤติกรรม หาที่กัดตลอดเวลา ไม่ยอมกินอาหาร
0
802
อื่นๆ
Siriyakorn
อ่านต่อ
ลูกแมวน้องตอนกลางคืน
0
769
แมว
Nichapat
อ่านต่อ
แมวร้องเสียงเหมือนเด็กค่ะ
0
1908
แมว
Boom
อ่านต่อ
น้ำตาแมวไหลตลอดครับถ่ายพยาธิก็ยังไหลอยู่ไหลตลอดเช็ดก็ไหลๆ เป็นอะไรครับ
0
767
แมว
พุทธิดา
อ่านต่อ
น้องไม่ยอมกินข้าวมาจะสามวันเเล้วค่ะ ตตอนนี้ผอมมากๆเลย แล้วก็ซึมๆน้องตัวอื่นๆมาเล่นด้วยก็ไม่สนใจ
1
719
สุนัข
Phimkanoknun
อ่านต่อ
มือใหม่อยากจะเลือกหนูลัมโบ้แรทจะเริ่มเลี้ยงน้องหนูเพศอะไรดี???
0
1288
อื่นๆ
Ratchanon
อ่านต่อ
Royal Canin Recovery แมวที่ไม่ได้ป่วย ทานได้ไหมครับ หรือไม่ควรรับประทาน
1
2978
แมว
Thank
อ่านต่อ
ฝันร้ายหรือโรคร้ายครับ?
0
637
สุนัข
Pages:
Prev.
1
...
75
76
77
78
79
...
160
Next
Top